L’éruption du Hunga Tonga-Hunga Ha’apai le 15 janvier 2022 a montré à quel point l’éruption d’un volcan sous-marin peut être puissante. Elle a également confirmé que nous en savons très peu sur ces volcans et que davantage d’études devraient être entreprises.
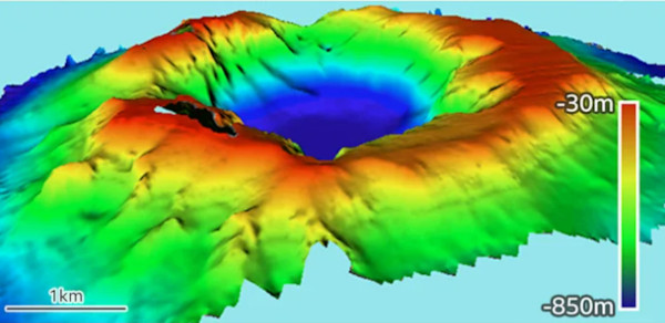
Le Kolumbo est un bon exemple des volcans sous-marins potentiellement dangereux. Il est situé à une dizaine de kilomètres de l’île de Santorin en Grèce. Le volcan, dont le cratère mesure 1,5 km de diamètre, est connu pour ses éruptions explosives. La plus récente a eu lieu en l’an 1650 de notre ère. Quelque 70 personnes et plusieurs animaux ont été tués. Le Kolumbo est situé à la frontière entre deux plaques tectoniques, là où la plaque africaine est en subduction sous la plaque égéenne. Aujourd’hui, le sommet du Kolumbo se trouve à une dizaine de mètres sous le niveau de la mer et la base à environ 500 m de profondeur..
Une nouvelle étude publiée dans la section Geochemistry, Geophysics, Geosystems de l’American Geophysical Union (AGU) a révélé l’existence d’une chambre magmatique sous le Kolumbo, entre 2 et 4 km sous le plancher. A l’aide d’une technologie haute résolution, les chercheurs ont découvert que la chambre magmatique présente une grave menace car elle pourrait produire une éruption hautement explosive, accompagnée d’un tsunami, dans un proche avenir.
Les chercheurs ont détecté un corps magmatique qui s’est développé à un rythme moyen de 4 millions de mètres cubes par an depuis son éruption en 1650. La chambre contient maintenant environ 1,4 kilomètre cube de magma. Ce volume pourrait atteindre environ 2 kilomètres cubes dans les 150 prochaines années, ce qui correspond à la quantité estimée de magma que Kolumbo a éjecté il y a près de 400 ans.
Le volcan est situé sur l’Arc Hellénique. Les volcans de ce type, à la frontière courbe entre des plaques tectoniques convergentes, sont le siège des événements les plus explosifs sur Terre. Le risque dépend de la quantité de magma présente sous un volcan. Les méthodes tomographiques classiques utilisées jusqu’à présent ont une résolution relativement faible et ne donnent qu’une image floue des plus gros corps magmatiques.
L’étude montre également que des réservoirs magmatiques semblables pourraient ne pas avoir été détectés sur d’autres volcans actifs. Le Kolumbo représente une menace sérieuse et un système de surveillance en temps réel serait le bienvenu.
Compte tenu de l’impact sociétal potentiellement élevé d’une éruption explosive du Kolumbo, les auteurs de l’étude conseillent de mettre en place un observatoire permanent avec une surveillance continue de la sismicité,. Cet observatoire assurerait la surveillance de toute activité potentielle et permettrait de prendre les précautions nécessaires pour protéger la population locale.
Source : Magma Chamber Detected Beneath an Arc Volcano With Full-Waveform Inversion of Active-Source Seismic Data – AGU Geochemistry, Geophysics, Geosystems – October 2022, via The Watchers.
A lire aussi : A distinct source and differentiation history for Kolumbo submarine volcano, Santorini volcanic field, Aegean arc – AGU – 2026.
—————————————-
The eruption of Hunga Tonga-Hunga Ha’apai on January 15th, 2022 showed how powerful the eruption of underwater volcanoes can be. It also confirmed that we know very little about these volcanoes and that more studies should be undertaken.
Kolumbo is a good example of the potentially dangerous submarine volcanoes. It is located about 10 km from the island of Santorini in Greece. The volcano, with a 1.5-km crater, is known for its explosive eruptions, with the most recent one occurring in 1650 CE. About 70 persons and several animals were killed. The volcano is situated on the boundary between two tectonic plates, where the African plate is subducting beneath the Aegean plate. Today, the summit of Kolumbo lies about 10 meters beneath the surface of the sea while the base is about 500 m deep.
A new study published in AGU’s Geochemistry, Geophysics, Geosystems has revealed the existence of a magma chamber beneath Kolumbo, 2-4 km beneath the seafloor. Using a high-resolution technology, the study found that the magma chamber poses a serious hazard as it could produce a highly explosive, tsunamigenic eruption in the near future.
Researchers were able to detect a body of mobile magma that has been growing at a rate of 4 million cubic meters per year ever since its eruption in 1650. The chamber now holds roughly 1.4 cubic km of magma. It could reach roughly 2 cubic km within the next 150 years, which was the estimated amount of magma Kolumbo ejected nearly 400 years ago.
The volcano is located on the Helleneic Arc. Arc volcanoes, which mark the curved boundaries between converging tectonic plates, host the most explosive events on Earth. The associated hazard depends on how much mobile magma is currently present beneath a volcano. Standard tomographic methods used so far have relatively low resolution and give a blurred picture of only the largest magma bodies.
The study also suggests that similar reservoirs may have gone undetected at other active volcanoes and suggests that Kolumbo poses a serious threat and deserves a real-time monitoring facility.
Given the potentially high societal impact of an explosive eruption at Kolumbo, the authors of the study suggest establishing a permanent observatory involving continuous earthquake monitoring, to ensure that any future activity is closely monitored, and the necessary precautions can be taken to mitigate the risk to the local population.
Source : Magma Chamber Detected Beneath an Arc Volcano With Full-Waveform Inversion of Active-Source Seismic Data – AGU Geochemistry, Geophysics, Geosystems – October 2022, via The Watchers.
A distinct source and differentiation history for Kolumbo submarine volcano, Santorini volcanic field, Aegean arc – AGU – 2026.

Source : AGU

